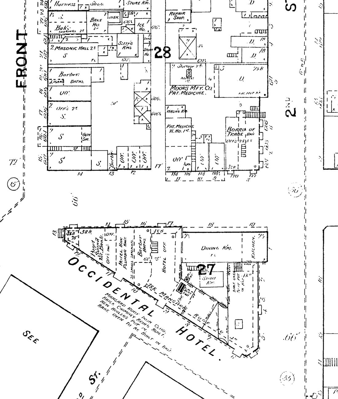
x-SANDBORN-MAP-1888-WEB September 21, 2014 1100 × 1300 Seattle Now & Then: The Occidental Hotel A detail from the 1888 Sanborn Real Estate Map for Seattle. (Courtesy, National Archives)