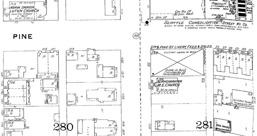
X-Sanborn-1893-detl-6th-and-Pike-GRAB-WEB September 26, 2015 900 × 477 Seattle Now & Then: A Row House at 6th and Pine An early footprint for our row shows far right at the corner of 6th and Pine in this detail from the 1893s Sanborn Real Estate map.