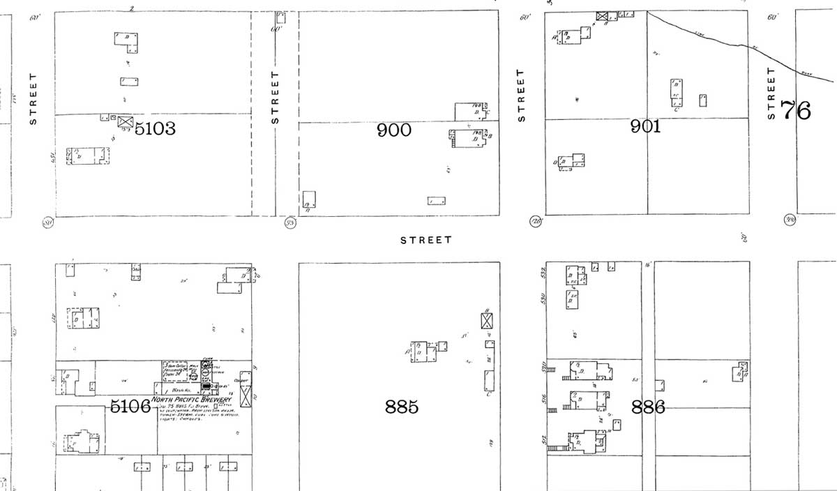
x-Sanborn-1893-detl-Mercer-ZZ&-Eastlake-web( June 26, 2016 1200 × 704 Seattle Now & Then: An Eastlake Cutie This detail from the 1893 Sanborn map includes thee footprints of our feature side-by-side with its twin upper-center