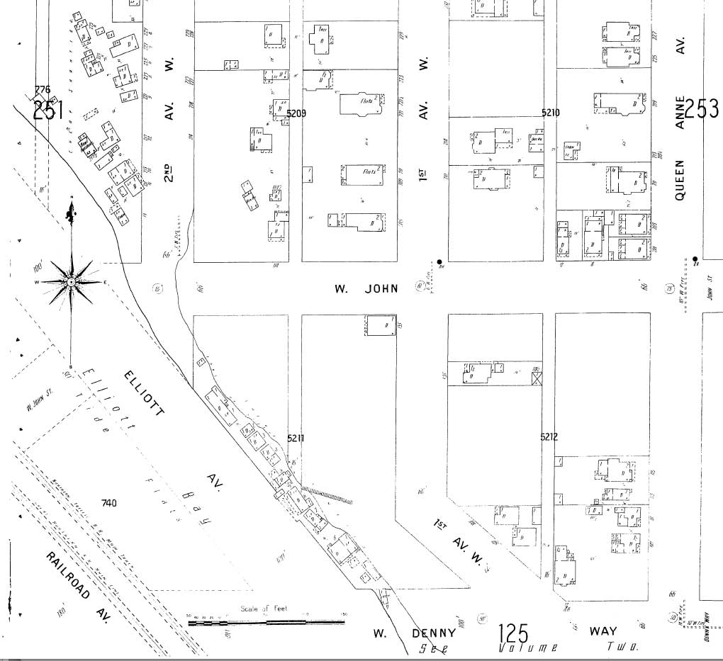
XMAP-Denny-Way,-Western,-1st-west,-1904-5-Sanborn-WEB2

This detail from the 1904 Sanborn real estate map shows the line-up of First Avenue W. and Denny Way and the string of squatters shacks that were ultimately razed for the Elliot Ave. regrade and, if they survived into the 1920s, the continuation of Western to Elliott.

Leave a Reply

This site uses Akismet to reduce spam. Learn how your comment data is processed.