x-1904-sanborn-ballard-city-hall-grab-dtl-web

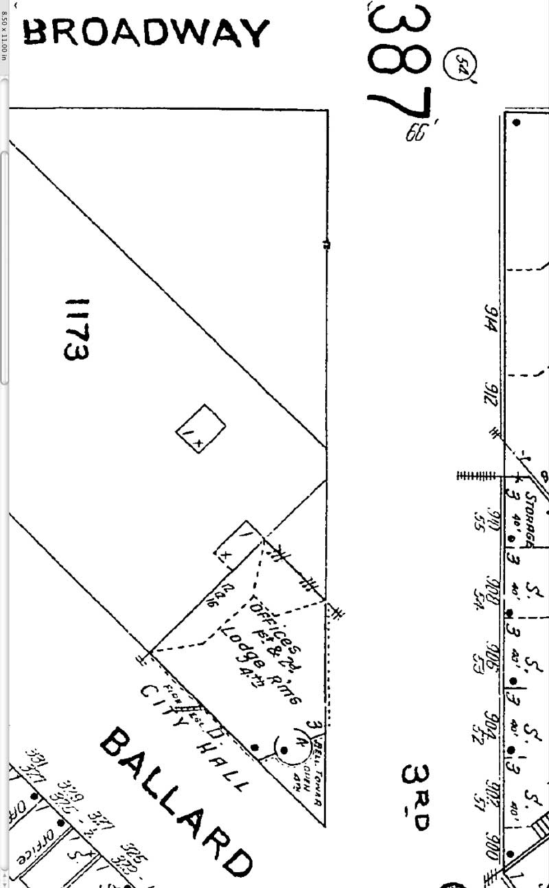
A detail from the 1904 Sanborn map of Ballard before its 1907 annexation into Seattle. Here the future 22nd Ave. N.W. is still numbered Third Avenue. The City Hall footprint holds the pointed corner.

Leave a Reply

This site uses Akismet to reduce spam. Learn how your comment data is processed.